Cyclone Montha: Danger signal 7 raised at Kakinada Port as storm nears coast

Representational Image
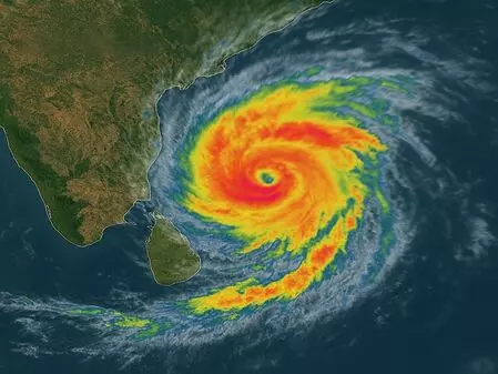
Visakhapatnam, Oct 28: With severe cyclone 'Montha' in the Bay of Bengal racing towards the Andhra Pradesh coast, authorities have hoisted danger signal number seven at Kakinda port.
Cyclone Warning Centre, Visakhapatnam, has issued danger signal number six at Visakhapatnam and Gangavaram ports.
Danger signal number five has been hoisted at Machilipatnam, Nizampatnam and Krishnapatnam ports.
Informatory messages have been sent to Kalingapatnam, Bheemunipatnam and Vadarevu ports.
According to India Meteorological Department (IMD), cyclonic storm Montha over westcentral Bay of Bengal moved north-northwestwards with a speed of 15 kmph during past six hours, intensified into a severe cyclonic storm and lay centered at 0530 hrs IST of Tuesday over the same region, about 190 km south-southeast of Machilipatnam (Andhra Pradesh), 270 km south-southeast of Kakinada (Andhra Pradesh), 340 km south-southwest of Visakhapatnam (Andhra Pradesh), 550 km south-southwest of Gopalpur (Odisha).
"It is likely to continue to move north-northwestwards and cross Andhra Pradesh coast between Machilipatnam and Kalingapatnam around Kakinada during the evening/night of today, the 28th October, as a severe cyclonic storm with a maximum sustained wind speed of 90-100 kmph gusting to 110 kmph," the IMD said.
The IMD has issued a red alert for coastal Andhra Pradesh. It said in a bulletin that scattered heavy to very heavy with extremely heavy rainfall likely to occur at one or two places over Srikakulam, Parvathipuram Manyam, Vizianagaram, Visakhapatnam, Alluri Sitharama Raju, Anakapalli, Kakinada-Yanam, Dr. B. R. Ambedkar Konaseema, East Godavari, West Godavari, Eluru, NTR, Krishna, Guntur, Palnadu, Bapatla and Prakasam districts of coastal Andhra Pradesh and Yanam.
Heavy to very heavy rainfall is likely to occur at a few places over Sri Potti Sriramulu Nellore, Tirupati, Annamayya, YSR Kadapa and Nandyal districts of Coastal Andhra Pradesh, Yanam and Rayalaseema.
Indian National Centre for Ocean Information Services (INCOIS) has issued high wave alerts for coastal districts.
It forecasted high waves in the range of 3 - 4.7 meters. INCOIS advised small vessels not to ply near shore and to avoid recreational activities. Erosion/wave surges are possible under the impact of the cyclone.
--IANS